Театральная
Модератор: Nomernoy
- Danyokkk
- Сообщения: 166
- Зарегистрирован: 08 июл 2009, 14:33
- Станция метро: Проспект Большевиков
Re: Театральная
Следующая станция - Театральная ! ! !
			
						- ArtTrapeza
- Сообщения: 828
- Зарегистрирован: 30 дек 2006, 11:56
- Станция метро: Проспект Просвещения
Re: Театральная
Наиболее интересная часть статьи:
Наиболее ценные иллюстрации:
			
			
									
						
										
						Что препятствует появлению нужной и, судя по эскизам, одной из самых красивых станций петербургского метрополитена?
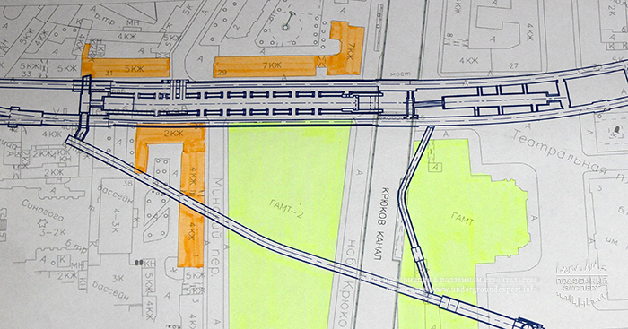
Задержка в прохождении экспертизы или отсутствие принципиального решения города о расположении выходов. Да, плотная историческая застройка, однако вопрос все равно решать придется, и откладывание его на несколько лет ситуацию никак не поменяет. Сейчас существуют одновременно два возможных варианта: на углу улицы Декабристов и улицы Глинки, а также активно обсуждаемый проект на углу Лермонтовского проспекта и улицы Декабристов – на месте Дома Быта.
Заключения экспертизы на эти предварительные проекты невозможно получить, так как заказчиком не решены правовые вопросы с собственником Дома Быта, и не урегулирован вопрос о возможности строительства на площади у театра. Первое решение подразумевает процедуру выкупа места у собственника, второй вариант – многочисленные согласования строительства вблизи трех исторических объектов. Матвеевский мост стоит, например, на деревянных сваях. Как он себя поведет, если подземный вестибюль будет сооружаться прямо под ул. Декабристов?
Где будет выход для станции Театральная?
Окончательные проекты вестибюлей даже не разработаны. Чтобы завершить проект, нужно в соответствии с законом получить эту землю. То есть первое, что должно решить, – земельные вопросы. Все остальное уже следующий этап.
В сети можно найти упоминания о прохождении экспертизы одного из входов, но это не так. Специалисты ОАО «Ленметрогипротранс», выполнившие проектные работы, на запрос undergroundexpert.info сообщили, что на экспертизу подавались только проекты подготовительных работ, и они не прошли ее как раз по организационным вопросам, связанным с будущими вестибюлями станции.
Согласно действующему законодательству, на данный момент сначала необходимо пройти экспертизу по предварительному проекту, потом экспертизу по окончательному проекту. Таким образом, каждый объект проходит экспертизу дважды. Сейчас ситуация не решается, потому что на экспертизу нельзя идти без оформленного земельного участка, это тоже обусловлено законодательством.
Строительство тоннеля для станции Театральная
Строительство «Театральной», ОАО «Метрострой»
Метрострой выполняет работы по строительству перегонов, служебных тоннелей и вентшахт – все!
В настоящий момент контракт стоимостью 20,7 млрд рублей, заключенный с Метростроем, даже не предполагает строительство вестибюля, в нем прописано только строительство перегонных тоннелей от станции «Большой проспект» до станции «Спасская» и вентшахты.
Сама станция будет на стандартной глубине 50-60 метров, пилонного типа. Пока это просто бетонный остов, но мы ее не увидим – как и «Адмиралтейскую» в свое время, ее закроют железными щитами. Красивая отделка, имитирующая занавес исторической сцены Мариинского театра, которая стала известна по опубликованным проектам «Ленметрогипротранса», будет ждать своей очереди. Кстати, сама подземная станция «Театральная» прошла экспертизу. Но пока не закрыт вопрос строительства вестибюлей, это не актуально.
Строительство Театральной
Вопрос скорого согласования расположения вестибюлей станции «Театральной» также сопряжен с проблемой перекрытия улиц на долгий срок. Эта же проблема сейчас мешает «Метрострою» развернуться на Театральной площади, чтобы в адекватных условиях строить шахту.
Работы ведутся, но на участке меньшем, чем требуется для комфортного быстрого строительства. Виной тому отсутствие оперативных решений по организации дорожного движения для создания максимально удобных условий для скорейшего выполнения работ Метростроем у здания театра.
Сколько потребуется времени на строительство наклонного хода и вестибюля в будущем, учитывая все бюрократические процедуры? По оценке специалистов ОАО «Ленметрогипротранс», минимум 5-7 лет, если земельный вопрос решается сейчас. Так что когда мы говорим, что в 2019 году на схеме метро Санкт-Петербурга появится новая станция «Театральная», подразумевается, что это будет сквозной проезд через место будущей станции. А в Мариинский театр мы по-прежнему будем ходить пешком от станции «Сенная» – года так до 2025, если не произойдет чуда.
Наиболее ценные иллюстрации:
- MaksegZ
- Сообщения: 4551
- Зарегистрирован: 15 янв 2006, 06:54
- Станция метро: Московская
- Откуда: Питер
- Контактная информация:
Re: Театральная
А ведь если бы в 2006 построили на пл. Труда съезд, как на Сенной, а не грохали всю линию до Садовой, то проблема транспортной доступности так не стояла, можно было бы запустить маршрут Сенная площадь - Площадь Труда с использованием двухсторонних вагонов. А сейчас неместного вопрос - как найти на Сенной площади транспорт до Мариинского театра может поставить в тупик.
			
			
									
						
							Дунайская течёт... как вы судно назовёте, так оно и поплывёт 
"Надо строить быстро, качественно и недорого" © правительство СПб
Создал чат в ТГ, присоединяемся - https://t.me/subwaytalks
			
						
"Надо строить быстро, качественно и недорого" © правительство СПб
Создал чат в ТГ, присоединяемся - https://t.me/subwaytalks
- 
				gromov20
- Сообщения: 181
- Зарегистрирован: 28 июл 2006, 11:30
Re: Театральная
А восстанавливать не хотят, судя по отписке  комитета по развалу общественного транспорта.   Отправлял  губернатору  в  связи с демонтажем  остатков на Ново-Никольском  вместо  восстановления  5-ки в три этапа.   Перенаправили в комитет,  который ответил очень сухо: восстановление не планируется.
Что-то оффтоп пошёл.
			
			
									
						
										
						Что-то оффтоп пошёл.
- 
				Randy
- Сообщения: 3154
- Зарегистрирован: 25 янв 2005, 13:31
Re: Театральная
Матвеевский мост стоит, например, на деревянных сваях.
очевидно, имелся в виду мост Декабристов (Офицерский)
- 
				Чау-чау
- Сообщения: 2589
- Зарегистрирован: 26 ноя 2011, 19:20
- Станция метро: Шкиперская
Re: Театральная
От котлована под М-2 ему  ведь ничего не сделалось.
			
			
									
						
										
						- 
				Manhattan
- Сообщения: 1721
- Зарегистрирован: 20 сен 2012, 21:39
- Станция метро: Приморская
Re: Театральная
Если мост в современном мегаполисе до сих пор стоит на деревянных сваях, то это отличный повод поставить его таки на железобетонные.
			
			
									
						
										
						- karhu
- Сообщения: 3938
- Зарегистрирован: 31 дек 2008, 19:14
- Станция метро: Василеостровская
- Откуда: Санкт-Петербург
Re: Театральная
Ну с мостом вопрос легко решается на примере Яхтенного.
Было бы неплохо его расширить в угоду пешеходам хотя бя со стороны театров.
Уверен, что его реконструкция займёт около 6-9 месяцев.
А в это время как раз уложатся работы по подготовке плошадки выхода на площадь.
Успеют укрепить фундаменты прилегающих зданий.
Нужно чтобы Метрострой и ЛМГТ задобрили город колличеством предпринимаемых мер для безопасности возведения вестибюля, и убедили его в надёжности проекта.
Тогда и можно будет расчитывать на скорейшую реализацию проекта.
PS. Реконструкцию моста стоило бы перенести на период после возведения наклонного хода, т.к. и деревянные и жб сваи в случае осадок могут повести себя одинаково.
А по прочности старые задубевшие деревянные сваи иногда не уступают жб сваям.
			
			
									
						
							Было бы неплохо его расширить в угоду пешеходам хотя бя со стороны театров.
Уверен, что его реконструкция займёт около 6-9 месяцев.
А в это время как раз уложатся работы по подготовке плошадки выхода на площадь.
Успеют укрепить фундаменты прилегающих зданий.
Нужно чтобы Метрострой и ЛМГТ задобрили город колличеством предпринимаемых мер для безопасности возведения вестибюля, и убедили его в надёжности проекта.
Тогда и можно будет расчитывать на скорейшую реализацию проекта.
PS. Реконструкцию моста стоило бы перенести на период после возведения наклонного хода, т.к. и деревянные и жб сваи в случае осадок могут повести себя одинаково.
А по прочности старые задубевшие деревянные сваи иногда не уступают жб сваям.
"Ключик на 60 дайте, пожалуйста".
			
						- 
				Manhattan
- Сообщения: 1721
- Зарегистрирован: 20 сен 2012, 21:39
- Станция метро: Приморская
Re: Театральная
Я считаю что вестибюль нужно возводить сразу со станцией, чтобы два раза площадь не перекрывать. Перекрыли один раз, сделали все сразу и забыли.
И вообще делать надо комплексным проектом. Заодно и мост, и подземные парковки если они там должны быть.
			
			
									
						
										
						И вообще делать надо комплексным проектом. Заодно и мост, и подземные парковки если они там должны быть.
- mx
- Профессионал 
- Сообщения: 4118
- Зарегистрирован: 14 сен 2005, 21:32
- Станция метро: -------
- Откуда: 59`50N 30`25E
Re: Театральная
Первое решение подразумевает процедуру выкупа места у собственника, второй вариант – многочисленные согласования строительства вблизи трех исторических объектов. Матвеевский мост стоит, например, на деревянных сваях. Как он себя поведет, если подземный вестибюль будет сооружаться прямо под ул. Декабристов?
Опять какие-то если бы да кабы ли. С кем надо согласовывать строительство? С театром или минкультуры? Что они могут согласовать - там есть эксперты по строительству? Сколько ни строили последнее время котлованов (не только метростроевских) - никаких серьёзных происшествий не случалось. Зачем тогда раздувать пустые опасения? Единственное объяснение - предлог, чтобы отсрочить финансирование.
Всё потому, что кто-то слишком много ест!
			
						- в40
- Профессионал 
- Сообщения: 14771
- Зарегистрирован: 05 фев 2009, 19:46
- Станция метро: Проспект Большевиков
- Откуда: Дачное
Re: Театральная
Плюс дополнительная реклама. Любой скандал увеличивает интерес публики.
			
			
									
						
							О=О=О=О=О=О=О=О=О=О=О=О=О=О=О=О=О=О=О
			
						- McFly
- Сообщения: 306
- Зарегистрирован: 06 мар 2013, 22:55
- Станция метро: Площадь Мужества
- Откуда: Санкт-Петербург
Re: Театральная
Manhattan писал(а):Если мост в современном мегаполисе до сих пор стоит на деревянных сваях, то это отличный повод поставить его таки на железобетонные.
Благовещенский мост до сих пор на своих первых деревянных сваях стоит. Нет смысла что-то менять, если это хорошо работает
Я такой же осёл как и вы, сэр!
			
						- Danyokkk
- Сообщения: 166
- Зарегистрирован: 08 июл 2009, 14:33
- Станция метро: Проспект Большевиков
Re: Театральная
(15.06.17) Освежаю тему. Просьба к профессионалам по возможности осветить то, что происходит внизу! 
			
							
			
									
						
							
Следующая станция - Театральная ! ! !
			
						- McFly
- Сообщения: 306
- Зарегистрирован: 06 мар 2013, 22:55
- Станция метро: Площадь Мужества
- Откуда: Санкт-Петербург
Re: Театральная
По идее уже всё должно быть максимально близко к монтажу КТ-1-5.6, который разобрали на 467
			
			
									
						
							Я такой же осёл как и вы, сэр!
			
						- 
				ленинградец
- Сообщения: 928
- Зарегистрирован: 26 мар 2012, 20:00
- Станция метро: Чернышевская
Re: Театральная
http://www.undergroundexpert.info/podze ... -metro-spb
т. е. они в мае монтировали оболочку щита
			
			
									
						
										
						т. е. они в мае монтировали оболочку щита






