Лахтинский радиус. Общая тема

Модератор: Nomernoy

Ответить
Аватара пользователя
karhu
Сообщения: 3938
Зарегистрирован: 31 дек 2008, 19:14
Станция метро: Василеостровская
Откуда: Санкт-Петербург

Re: Лахтинский радиус. Общая тема

Сообщение karhu »

Похоже всё выложили.
На десяток ГБ будет.
"Ключик на 60 дайте, пожалуйста".
Аватара пользователя
mx
Профессионал
Профессионал
Сообщения: 4114
Зарегистрирован: 14 сен 2005, 21:32
Станция метро: -------
Откуда: 59`50N 30`25E

Re: Лахтинский радиус. Общая тема

Сообщение mx »

Скачал. 6 гигабайт (без сметной части). Из них 4.7 мура - обследование домов, попадающих в зону строительства. Остальная часть по делу - пояснительная записка, ПОС и технологические и конструктивные решения. Если откинуть экологию, пожарную безопасность, ЧС то в сумме гигабайт. Но этот гигабайт ещё надо разобрать :)
Всё потому, что кто-то слишком много ест!
Аватара пользователя
karhu
Сообщения: 3938
Зарегистрирован: 31 дек 2008, 19:14
Станция метро: Василеостровская
Откуда: Санкт-Петербург

Re: Лахтинский радиус. Общая тема

Сообщение karhu »

Обследование домов совсем не мура неинтересная :)
Надо глянуть.
Чуется - большой объем территории.
"Ключик на 60 дайте, пожалуйста".
Аватара пользователя
mx
Профессионал
Профессионал
Сообщения: 4114
Зарегистрирован: 14 сен 2005, 21:32
Станция метро: -------
Откуда: 59`50N 30`25E

Re: Лахтинский радиус. Общая тема

Сообщение mx »

Там очень много фотографий всяких трещин в стенах, осыпавшейся штукатурки и прочих красот исторического Петербурга:) Раздел конечно нужный, но очень монотонный.
Из-за этих фотографий как раз такой ненормальный объём.
Всё потому, что кто-то слишком много ест!
Аватара пользователя
karhu
Сообщения: 3938
Зарегистрирован: 31 дек 2008, 19:14
Станция метро: Василеостровская
Откуда: Санкт-Петербург

Re: Лахтинский радиус. Общая тема

Сообщение karhu »

Может быть есть рисунок где обозначено разграничение территории бследования.
"Ключик на 60 дайте, пожалуйста".
Ярополк
Сообщения: 55
Зарегистрирован: 26 мар 2005, 01:13
Откуда: Лиепая

Re: Лахтинский радиус. Общая тема

Сообщение Ярополк »

Где её можно скачать? Дайте ссылку, пожалуйста.
Аватара пользователя
Nomernoy
Профессионал
Профессионал
Сообщения: 5177
Зарегистрирован: 10 окт 2005, 16:25
Станция метро: Театральная
Откуда: Санкт-Петербург

Re: Лахтинский радиус. Общая тема

Сообщение Nomernoy »

Изображение
Gleb
Сообщения: 898
Зарегистрирован: 22 май 2006, 23:11
Станция метро: Новочеркасская

Re: Лахтинский радиус. Общая тема

Сообщение Gleb »

28 ноября заказчиком в лице КРТИ изменена конкурсная документация на право заключения контракта на выполнение работ по объекту:
«Строительство Лахтинско-Правобережной линии от ст. «Спасская» до ст. «Морской Фасад», в том числе 1-й пусковой комплекс
от ст. «Спасская» до ст. «Большой пр.». Основные изменения коснулись максимальной цены контракта.
Было:
2. Начальная (максимальная) цена контракта: 21 337 827 553,88 руб.

Стало:
2. Начальная (максимальная) цена контракта: 21 208 857 124,47 руб.

Изменился срок окончания подачи заявок. Был - 12 декабря, стало - 15 декабря 2014 г..
http://zakupki.gov.ru/epz/order/notice/ ... 2514000264
Gleb
Сообщения: 898
Зарегистрирован: 22 май 2006, 23:11
Станция метро: Новочеркасская

Re: Лахтинский радиус. Общая тема

Сообщение Gleb »

Из конкусной документации (проекта) некоторые выдержки:
График строительства составлен исходя из следующих предпосылок:
- максимальное использование при сооружении перегонных тоннелей механизированных комплексов.
- первоочередное сооружение вентиляционного ствола для обеспечения транспортировки габаритных деталей и нормальной вентиляции строительных работ.
- выделение времени в графике для пусконаладочных работ.
На основании технического плана строительства выполнение строительства линии в срок 5 лет 2 месяца.
Станции "Театральная" и "Большой проспект" - пилонного типа из сборного железобетона.
Строительство линии ведется 2 независимыми участками.
К первому участку с базовой шахтой № 572 относится строительство станционного узла ст. "Большой проспект", перегонного тоннеля второго пути от ст. "Большой проспект" до станции "Театральная", перегонного тоннеля пятого пути в сторону станции "Шкиперская", НВУ-572, НВУ-571, притоннельных сооружений на указанных участках перегонных тоннелей, а также 2-х групп камер съезда.
Ко второму участку с базовой шахтой № 574 относится строительство перегонных и тупиковых тоннелей первого и второго пути от ст. "Спасская" до ст. "Театральная", станции «Театральная», перегонного тоннеля первого пути в сторону станции "Большой проспект, притоннельных сооружений на перегонах, а также НВУ-573, НВУ-574.
Кроме того работы ведутся на участковых площадках, с которых сооружаются стволы вентиляционных шахт (571; 573), сдаваемые в составе пускового комплекса и эскалаторного тоннеля с вестибюлем станции "Большой проспект".

Проект организации работ:
ПОС.gif
Gleb
Сообщения: 898
Зарегистрирован: 22 май 2006, 23:11
Станция метро: Новочеркасская

Re: Лахтинский радиус. Общая тема

Сообщение Gleb »

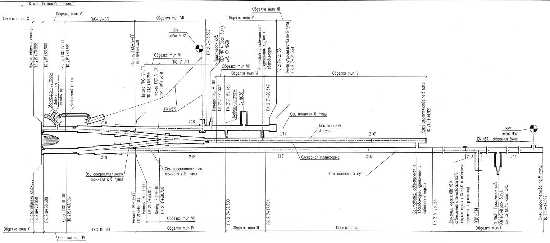
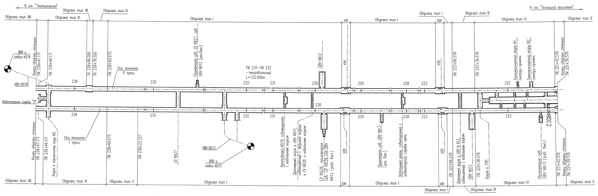
Схемы перегонных тоннелей (из проекта):
Схема перегона от Ш519б до Театральной.gif

Схема перегона от Театральной до ст. Большой пр..gif

Схема перегона от ст.Большой пр. до Ш571.gif
Аватара пользователя
Metroschemes
Сообщения: 6497
Зарегистрирован: 22 окт 2005, 04:19
last_fm: Metroschemes
Станция метро: Парнас
Откуда: Питер
Контактная информация:

Re: Лахтинский радиус. Общая тема

Сообщение Metroschemes »

По моим данным на 30.11 следов площадки 573 не обнаружено, по крайней мере, на доступных для простого обывателя пространствах... Будем искать!
Всего за месяц ЗЕНИТ взял три трофея и одну станцию метро!
Заходите на мой сайт: Схема метро - История метрополитенов в схемах!
Аватара пользователя
Ignat
Сообщения: 431
Зарегистрирован: 28 окт 2010, 02:29
last_fm: Ta6ypeTKo
Станция метро: Большеохтинская
Контактная информация:

Re: Лахтинский радиус. Общая тема

Сообщение Ignat »

Если что, искать здесь :)
55553.jpg
Аватара пользователя
Metroschemes
Сообщения: 6497
Зарегистрирован: 22 окт 2005, 04:19
last_fm: Metroschemes
Станция метро: Парнас
Откуда: Питер
Контактная информация:

Re: Лахтинский радиус. Общая тема

Сообщение Metroschemes »

Там и смотрим. Снесут ангарчик, видимо... Вообще-то, странное место: совсем рядом, возле заправки есть вполне себе приличный пустырь и ничего не надо выдумывать...
Всего за месяц ЗЕНИТ взял три трофея и одну станцию метро!
Заходите на мой сайт: Схема метро - История метрополитенов в схемах!
Аватара пользователя
слон
Сообщения: 840
Зарегистрирован: 08 апр 2005, 17:53
last_fm: MetroFan
Откуда: Восстания, Ал.Невского, Чернышевская

Re: Лахтинский радиус. Общая тема

Сообщение слон »

"приличный пустырь" много лет в собственности крупного девелопера коммерческой недвижимости (в планах - строительство БЦ). Если уж с непойми-кем не стали связываться ради выхода с "Театральной" из-за 4-х этажного Дома Быта, то уж ради шахты и подавно не стали.
ленинградец
Сообщения: 928
Зарегистрирован: 26 мар 2012, 20:00
Станция метро: Чернышевская

Re: Лахтинский радиус. Общая тема

Сообщение ленинградец »

Действительно правильно написали что проще снести здание завода Электропульт и построить там вестибюль или еще лучше торговый комплекс Балтийский.Затрат было бы меньше.
Ответить

Вернуться в «Строительство и проектирование»