Страница 30 из 276
Re: Невско-Василеостровская линия. Общая тема
Добавлено: 01 ноя 2014, 07:17
ArtTrapeza
Re: Невско-Василеостровская линия. Общая тема
Добавлено: 01 ноя 2014, 21:44
ghty
Немного 467-й шахты.
Сперва на прошлой неделе. Земляные работы.

- 23.10.2014

- 23.10.2014
И сегодня:

- 01.11.2014
Кажется, уже первые тюбинги для копра?
Re: Невско-Василеостровская линия. Общая тема
Добавлено: 01 ноя 2014, 23:43
mx
Да, первое кольцо собрано. Это радует. И ведут уже не земляные, а проходческие работы. Грейфером выбирают грунт непосредственно из ствола как и обещали.
Re: Невско-Василеостровская линия. Общая тема
Добавлено: 06 ноя 2014, 01:21
mx
Кстати -
объявлен конкурс на разработку рабочей документации по первоочередным мероприятиям по подготовке строительства. Срок выполнения - 15 марта 2015. В эти первоочередные мероприятия входит строительство двух объектов. Первый - стартовый котлован на Туристской из двух монтажных камер и галереи между ними. Второй объект - шахта 467. Должны быть построены ствол, горный комплекс, руддвор, подходной тоннель, кусок перегонного тоннеля и монтажная камера щита (но не большого щита - диаметр камеры 7.9 м, это для щита для проходки к тупику "Приморской"). Более подробно с цифрами читайте в документации.
Общая длина двухпутного тоннеля от монтажной камеры на Туристской до демонтажной у шахты 467 - 5190 метров (т.е. 2883 кольца).
Подведение итогов конкурса 19 ноября.
Re: Невско-Василеостровская линия. Общая тема
Добавлено: 06 ноя 2014, 10:16
Manhattan
А что потом будет с этой рабочей документацией? Еще какая-нибудь экспертиза в Москве небось? Или сразу можно будет использовать? И конкурс на само строительство - его можно будет объявлять независимо от наличия рабочей документации или нужно ждать?
Re: Невско-Василеостровская линия. Общая тема
Добавлено: 06 ноя 2014, 18:18
Михаил
РД сдается заказчику. Экспертизу дл РД не проводят.
Re: Невско-Василеостровская линия. Общая тема
Добавлено: 07 ноя 2014, 12:25
Gleb
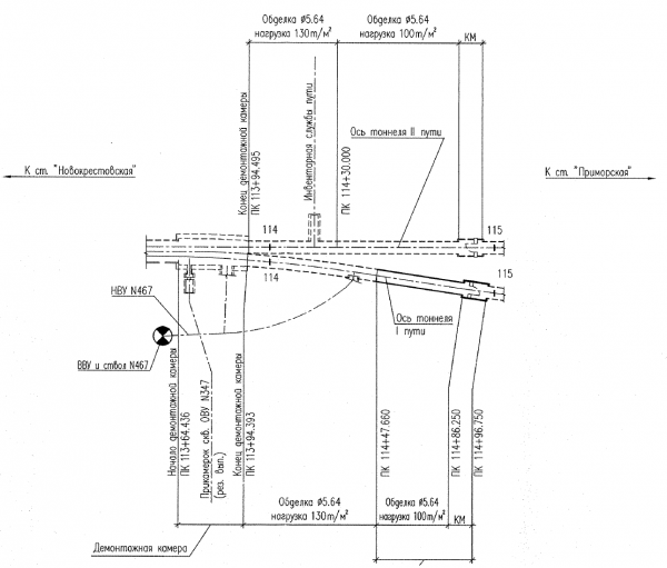
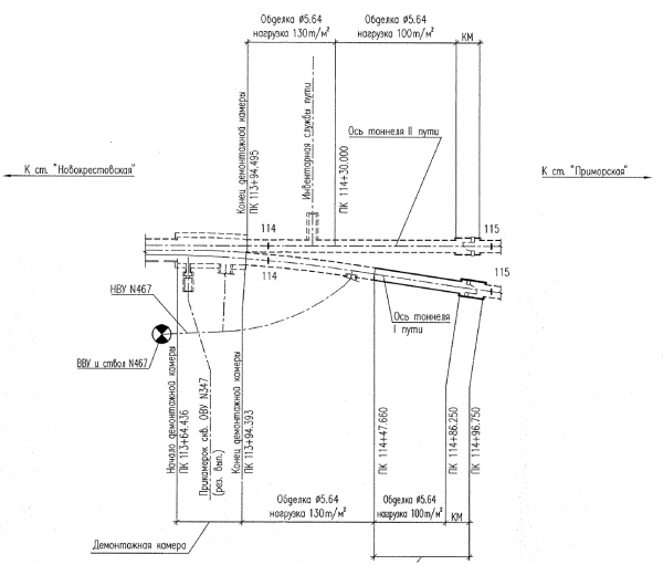
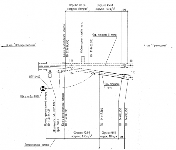
Некоторые выдержки из конкусной документации:
Состав проекта организации строительства шахты № 467 включает сооружение ствола,
подходной выработки, примыкающей к перегонному тоннелю I пути на ПК 114+42.000 и
монтажно-щитовой камеры на ПК 114+90.000. В составе проекта организации строительства
станционного комплекса "Улица Савушкина" представлено сооружение торцевых стен станции
на ПК 72+89.867 и ПК 74+86.922. В состав проекта организации строительства стартовых
котлованов включен участок открытого способа работ от ПК 60+25.108 до ПК 61+74.807.
Пикетаж конца пути обеспечивает возможность оборота и ночного отстоя составов
шестивагонного формирования. Конец строительства определен размещением стартового
котлована ТПМК на ПК 61+56.502.
На станциях и в двухпутных тоннелях междупутье 4 м, что позволяет вписать за ст. «Ул.
Савушкина» перекрестный съезд М 2/9 для оборота и ночного отстоя составов на 5 и 6
станционных путях.
Строительная длина рассматриваемого участка 5,71 км, в том числе кривых 3,05 км, что
составляет 53%.
На основании технического плана строительства выполнение комплекса первоочередных
работ предусмотрено в срок:
- 2 года 1 месяц для шахты №467;
- 1 год для шахты №462.
6. Технико‐экономическая характеристика проектируемого объекта.
6.1. Шахта №467.
6.1.1. Ствол шахты №467
1. глубина шахтного ствола – 61,3 м;
2. диаметр ствола на стадии строительства/эксплуатации – 6,1/5,6 м;
3. обделка – монолитная железобетонная;
6.1.2. Руддвор (НВУ №467)
1. диаметр обделки – 7,9 м;
2. протяженность – 36,0 м;
3. обделка – сборная железобетонная;
6.1.3. Подходная выработка (технический ходок)
1. диаметр обделки – 5,5 м;
2. протяженность – 72,5 м;
3. обделка – сборная железобетонная;
6.1.4. Подходная выработка (перегонный тоннель)
1. диаметр обделки – 5,63 м;
2. протяженность – 38,6 м;
3. обделка – сборная железобетонная;
6.1.5. Монтажно-щитовая камера (КМ)
1. диаметр обделки – 7,9 м;
2. протяженность – 10,5 м;
3. обделка – сборная железобетонная;
6.1.6. площадь временной строительной площадки – 0,49 Га;
6.1.7. продолжительность строительства – 24,5 мес.;
6.2. Стартовый котлован и шахта №462.
1. глубина разработки котлована – 26,3 м;
2. длина стартового котлована (в т.ч. участок открытого способа работ) – 149,7 м;
3. диаметр котлована в районе стартовых камер – 21,4 м;
4. толщина «стены в грунте» - 1,0 м;
5. ширина заходки -2,8 м;
6.глубина «стены в грунте» - 35,0/33,0 м;
7. двухпутный перегонный тоннель открытого способа производства работ:
- обделка - монолитная железобетонная;
- ширина обделки – 10,7 м;
- высота обделки – 11,28 м;
- длина обделки – 100,52 м;
- толщина стен – 0,8 м;
- толщина лотковой части – 1,0 м;
- покрытие – сводчатое пролетом 9,1 м и радиусом 4,575 м.
8. площадь временной строительной площадки – 1,38 Га;
9. продолжительность строительства – 15 мес.


Re: Невско-Василеостровская линия. Общая тема
Добавлено: 07 ноя 2014, 21:45
Vladson
Вторая попытка обнаружить намыв. Фото строящегося стадиона, но слева... оно?
ссылка
https://vk.com/diiabdullina?z=photo113314467_345990713%2Fphotos113314467
Re: Невско-Василеостровская линия. Общая тема
Добавлено: 07 ноя 2014, 22:16
mx
Нет, не оно. Это подсыпка для строительства ЗСД.
Интересно - при изменении проекта на двухпутный тоннель испарилась вентшахта №465 в парке 300-летия. Видимо хватит производительности вентканала.
Re: Невско-Василеостровская линия. Общая тема
Добавлено: 07 ноя 2014, 22:38
lexa-d
на
небоскребном форуме есть еще пару фоток. Там предполагают, что это все таки намыв для метро. Да и непонятно зачем ЗСД так глубоко в залив))
Re: Невско-Василеостровская линия. Общая тема
Добавлено: 07 ноя 2014, 23:08
Vladson
Ну, действительно, первая "лагуна", еще сойдет за подсыпку, а там коса песчаная в залив уходит.
Re: Невско-Василеостровская линия. Общая тема
Добавлено: 08 ноя 2014, 22:12
в40
Продублирую здесь график производства подготовительных работ по участку НВЛ от стартового котлована до "Приморской", опубликованный уважаемым
mx в
соседней теме:
Re: Фрунзенский радиус. Вторая очередь. Общая тема
Добавлено: 08 ноя 2014, 22:59
kot
Уже сейчас видно, что не успеть.
Но, конечно, если применить "ненормальные" методы, то, как говорится, "чем чёрт не шутит"...
Правда, обидно, что
1. Не смертельно необходим данный участок, строительство которого оправдывается частичным финансированием из федерального бюджета.
2. Из-за применения "ненормальных" методов строительства затраты неизбежно вырастут, и значительно. И они будут взяты уже из городского бюджета. И остальные проекты отодвинутся ещё на какой-то срок.
И всё равно не успеть.
3. Горячка со строительством настолько серьёзная, что, по-моему, без катастрофической причины, объясняющей срыв сроков, уже не обойтись. А если этой причины нет, её придётся придумать и организовать...
Был бы рад ошибиться.
Re: Фрунзенский радиус. Вторая очередь. Общая тема
Добавлено: 08 ноя 2014, 23:11
pl78
kot писал(а):Не смертельно необходим данный участок
"имхо" забыли добавить
Re: Фрунзенский радиус. Вторая очередь. Общая тема
Добавлено: 09 ноя 2014, 00:13
mx
Ну-ну, не надо впадать в панику и конспирологию. С такими настроениями точно ничего не построишь.
Я смайлик недаром поставил, после слова "ненормальные". Это ирония. Вовсе не имел в виду какие-то недоделки. На самом деле резерв есть и немалый. Надо понимать, что опубликованный график тоже не рельсы на железной дороге и скорость его исполнения может меняться - как уменьшаться так и увеличиваться. И резервы для увеличения есть. На щитовую проходку в графике заложено полтора года. Если принять за скорость достигнутый темп на ФР - 10 колец в сутки то на проходку 2884 колец обсуждаемого участка уйдёт 2884\10 - округлённо 289 дней или опять же округлённо 10 месяцев. Разумеется будут и остановки на профилактику. Но есть большая вероятность уложиться в год. На ФР уже получен бесценный опыт.
И отдельно хотел бы поговорить с kotом.
kot писал(а):1. Не смертельно необходим данный участок, строительство которого оправдывается частичным финансированием из федерального бюджета.
Ну про это говорить нечего. Много раз уже обсудили нужность/ненужность участка. Тут у всех мнение своё.
kot писал(а):2. Из-за применения "ненормальных" методов строительства затраты неизбежно вырастут, и значительно. И они будут взяты уже из городского бюджета. И остальные проекты отодвинутся ещё на какой-то срок.
И всё равно не успеть.
Прошу пояснить - на основании чего вы делаете такие выводы? Почему вырастут расходы? Если вырастут то почему их будут оплачивать бюджет? Вы знаете, что на стройку участков метро заключается контракт с твёрдой суммой и оговорёнными сроками. И если подрядчик подписывает его - все работы проводятся в пределах установленной суммы. Например вспоминая недавние проблемы на ФР (прямо говоря аварию) - явно "в копеечку" влетело устранение последствий. Но подрядчик не требовал каких-либо компенсаций и о переносе сроков тоже не говорилось. Приведите пожалуйста примеры ваших утверждений.
kot писал(а):3. Горячка со строительством настолько серьёзная, что, по-моему, без катастрофической причины, объясняющей срыв сроков, уже не обойтись. А если этой причины нет, её придётся придумать и организовать...
Уж очень сильное заявление. Так же прошу привести пример такого рода объяснений при строительстве метро. Я не припомню затягиваний сроков по липовым причинам и уж тем более намеренную организацию катастроф. Вопросы могут быть только финансовые. Никакой горячки также не наблюдаю. Проект строительства давно готов и даже уже прошёл игольное ушко ГГЭ. Средства под него заложены в годовых бюджетах. Подрядчик (единственно возможный в России) спокойно ведёт строительство без всяких технических проблем. А изменение приоритетов по строительтву - вовсе не горячка, это жизнь.