Изначально МССС поставил перегородку в бывшей НВУ ВШ 5 для ограждения от действующего метрополитена, позднее была сбойка под стволом шахты с временным ходкомLove_metro писал(а): ↑24 май 2025, 18:38 Зачем сделали металлическую перегородку, если и она будет демонтирована?
Путиловская
Модератор: Nomernoy
- TheSeaWind
- Сообщения: 336
- Зарегистрирован: 28 июн 2022, 14:52
- Станция метро: Балтийская Жемчужина
- Откуда: Улица Маршала Захарова
Re: Путиловская
Федеральное финансирование Петербургскому метрополитену!
- TheSeaWind
- Сообщения: 336
- Зарегистрирован: 28 июн 2022, 14:52
- Станция метро: Балтийская Жемчужина
- Откуда: Улица Маршала Захарова
Re: Путиловская
За торцевой стеной все помещения уже демонтированы, там служебный проход в нижние помещения станции и в кабельный коллекторLove_metro писал(а): ↑24 май 2025, 18:38 А есть ли фото, что за помещение торцевой стены Кировского завода? Это помещение тоже демонтируют?
Федеральное финансирование Петербургскому метрополитену!
- в40
- Профессионал

- Сообщения: 14776
- Зарегистрирован: 05 фев 2009, 19:46
- Станция метро: Проспект Большевиков
- Откуда: Дачное
Re: Путиловская
И в верхние (в доминошную).TheSeaWind писал(а): ↑25 май 2025, 00:03За торцевой стеной все помещения уже демонтированы, там служебный проход в нижние помещения станции и в кабельный коллекторLove_metro писал(а): ↑24 май 2025, 18:38 А есть ли фото, что за помещение торцевой стены Кировского завода? Это помещение тоже демонтируют?
О=О=О=О=О=О=О=О=О=О=О=О=О=О=О=О=О=О=О
- ButanAnim
- Сообщения: 184
- Зарегистрирован: 21 сен 2024, 15:49
- Станция метро: Театральная
- telegram: https://t.me/Baltsiets
Re: Путиловская
Меня больше всего удручает то, как на ПД сделали "плавный" поворот, либо мне кажется
Хотя возможно это обусловлено тем, что не смогли иначе спроектировать прочие помещения что указаны за стенами поворота
Хотя возможно это обусловлено тем, что не смогли иначе спроектировать прочие помещения что указаны за стенами поворота
Жду когда эти черти откроют Театральную.
-
Cypok
- Сообщения: 1847
- Зарегистрирован: 29 мар 2006, 15:52
- Контактная информация:
Re: Путиловская
Из комментов в чате Подземника: https://t.me/c/1792427918/148613.
Демонтирована торцевая стена на Кировском.
Оттуда же: https://t.me/c/1792427918/148744.
Строительство перехода.
Демонтирована торцевая стена на Кировском.
Оттуда же: https://t.me/c/1792427918/148744.
Строительство перехода.
Ну так сразу и не скажешь... да и вообще не люблю о себе говорить... скромный видно...
-
Cypok
- Сообщения: 1847
- Зарегистрирован: 29 мар 2006, 15:52
- Контактная информация:
Re: Путиловская
Из комментов в чате Подземника: https://t.me/c/1792427918/148878.
Строительство перехода.
Оттуда же: https://t.me/c/1792427918/148890.
Продолжается выверка зон эскалаторов на станции Путиловская перед навешиванием лестничного полотна.
Оттуда же: https://t.me/c/1792427918/148942.
Строительство перехода.
Оттуда же: https://t.me/c/1792427918/148890.
Продолжается выверка зон эскалаторов на станции Путиловская перед навешиванием лестничного полотна.
Оттуда же: https://t.me/c/1792427918/148942.
Ну так сразу и не скажешь... да и вообще не люблю о себе говорить... скромный видно...
-
Cypok
- Сообщения: 1847
- Зарегистрирован: 29 мар 2006, 15:52
- Контактная информация:
Re: Путиловская
Из комментов в чате Подземника: https://t.me/c/1792427918/149063.
ВШ 5.
Оттуда же: https://t.me/c/1792427918/149069.
Путиловская 29.05.25.
Оттуда же: https://t.me/c/1792427918/149196.
ВШ 5.
Оттуда же: https://t.me/c/1792427918/149069.
Путиловская 29.05.25.
Оттуда же: https://t.me/c/1792427918/149196.
Ну так сразу и не скажешь... да и вообще не люблю о себе говорить... скромный видно...
-
Cypok
- Сообщения: 1847
- Зарегистрирован: 29 мар 2006, 15:52
- Контактная информация:
Re: Путиловская
Из комментов в чате Подземника: https://t.me/c/1792427918/149216.
Подготовка к пендельтюрам.
Оттуда же: https://t.me/c/1792427918/149249.
Строительство перехода.
Подготовка к пендельтюрам.
Оттуда же: https://t.me/c/1792427918/149249.
Строительство перехода.
Ну так сразу и не скажешь... да и вообще не люблю о себе говорить... скромный видно...
- Love_metro
- Сообщения: 232
- Зарегистрирован: 12 фев 2017, 13:07
- Станция метро: Кудрово
Re: Путиловская
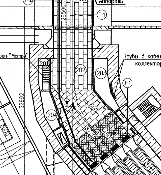
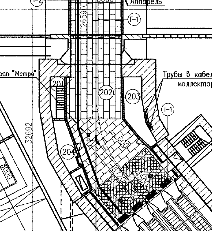
Не узнаю место. А синяя металлическая стенка демонтирована? Что за новая перегородка? И что означает стрелка и прямая линия на правой части стены?
Когда я спускаюсь в глубокую шахту на глубине 800 метров и глубже, то я начинаю слышать глубинный призрачный звук. У Вас такое случалось?
-
Icefer
- Сообщения: 1341
- Зарегистрирован: 10 июл 2019, 22:38
- Станция метро: Морской Фасад
Re: Путиловская
Пендель - не пендель, а время не ужмёшь. Если в пуск 31 декабря безе пересадки я пока верю, то вот с пересадкой, при таком её состоянии за 7 месяцев до - вряд ли. Посмотрите фото пересадок Авиамоторной\Электрозаводской за полгода до открытия пересадок. Для снижения эксплуатационных расходов - скорее, просто перенесут пуск с пересадкой на начало 2026. Всё ещё укладывается в 2 станции з 3 года с 1 июля 1991 по 1 июля 2027 (за 36 лет 24 станции). С 01.07.1991 по 01.07.2018 было 18 станций за 27 лет. Могут покатать губернатора по ССВ и до ЮЗ на поезде в качестве "техпуска". Более того, за следующие 3 года (с 01.07.2027 до 01.07.2030) тоже будет +2, похоже, т.к. по Театральной пока никаких движений явных.
-
Cypok
- Сообщения: 1847
- Зарегистрирован: 29 мар 2006, 15:52
- Контактная информация:
Re: Путиловская
Из комментов в чате Подземника: https://t.me/c/1792427918/149346.
Строительство перехода.
Кусочек истории! Участок довоенной штольни, забутованной в 1947-м году.
Оттуда же: https://t.me/c/1792427918/149358.
https://t.me/subwaytalks/168469/207077
На Путиловский сняли часть строительного забора.
Строительство перехода.
Кусочек истории! Участок довоенной штольни, забутованной в 1947-м году.
Оттуда же: https://t.me/c/1792427918/149358.
https://t.me/subwaytalks/168469/207077
На Путиловский сняли часть строительного забора.
Ну так сразу и не скажешь... да и вообще не люблю о себе говорить... скромный видно...
- Love_metro
- Сообщения: 232
- Зарегистрирован: 12 фев 2017, 13:07
- Станция метро: Кудрово
Re: Путиловская
Когда я спускаюсь в глубокую шахту на глубине 800 метров и глубже, то я начинаю слышать глубинный призрачный звук. У Вас такое случалось?
- в40
- Профессионал

- Сообщения: 14776
- Зарегистрирован: 05 фев 2009, 19:46
- Станция метро: Проспект Большевиков
- Откуда: Дачное
Re: Путиловская
Что значит "зачем кирпичи"?
Чем проще и качественее можно произвести закладку (забутовку) пространства штольни выше человеческого роста - бутовыми камнями по 15-20 килограммов каждый или кирпичами по 3-4 килограмма, поднимая их над головой?
Кирпичи уезжают на свалку вместе с бутовым камнем, боем бетона и обломками брёвен.
Здесь не археологические раскопки проводятся, а строительство метро. На исследование, учёт, систематизацию и хранение этих артефактов времени нет.
Чем проще и качественее можно произвести закладку (забутовку) пространства штольни выше человеческого роста - бутовыми камнями по 15-20 килограммов каждый или кирпичами по 3-4 килограмма, поднимая их над головой?
Кирпичи уезжают на свалку вместе с бутовым камнем, боем бетона и обломками брёвен.
Здесь не археологические раскопки проводятся, а строительство метро. На исследование, учёт, систематизацию и хранение этих артефактов времени нет.
О=О=О=О=О=О=О=О=О=О=О=О=О=О=О=О=О=О=О
- Love_metro
- Сообщения: 232
- Зарегистрирован: 12 фев 2017, 13:07
- Станция метро: Кудрово
Re: Путиловская
Так у меня просьба, найдите хорошие маркированные кирпичи и отдайте в музей. Здесь загадка, почему прошло 70, и они держатся и в хорошем состоянии. Это нам нужно изучить для строительства новых объектов. Нам нужны долговечные материалы. Археологические находки можно продать за деньги, что можно поднять бизнес. Расскажите, пожалуйста, почему здесь была штольня? Скиньте старую карту подземных шахт и замурованные шахты. Интересно, эта штольня вся забита камнями и кирпичами, есть пустые полости? Хоть древнюю вагонетку бы нашли) и тоже в музей). Меня удивляет балка. Она вроде в хорошем состоянии. И то она не вся сгнила). Из какого марки материала сделана эта балка. Я как конструктор заинтересован долговечной конструкции, включая и метро.)
Что значит «зачем кирпичи»? Владимир40 задал такой вопрос.
Я удивился, я думал, что пустоты замуровывают грунтом или просто заливают водой. А так очень интересная экскурсия по подземному строительству метро. А сколько человек работают на строительстве перехода? Строится переход круглосуточно?
Что значит «зачем кирпичи»? Владимир40 задал такой вопрос.
Я удивился, я думал, что пустоты замуровывают грунтом или просто заливают водой. А так очень интересная экскурсия по подземному строительству метро. А сколько человек работают на строительстве перехода? Строится переход круглосуточно?
Когда я спускаюсь в глубокую шахту на глубине 800 метров и глубже, то я начинаю слышать глубинный призрачный звук. У Вас такое случалось?
- ButanAnim
- Сообщения: 184
- Зарегистрирован: 21 сен 2024, 15:49
- Станция метро: Театральная
- telegram: https://t.me/Baltsiets
Re: Путиловская
На вестибюль станции начали производить монтаж панелей с элементами букв, в будущем которых мы будем понимать, что это за станция.
Но! Мы этого хрен поймём, так как из за небольшой вдавленности эти буквы фиг увидишь, кроме того, они решили всё же использовать шрифт Arial (впрочем по проекту это должно было произойти).
В целом, это и ожидалось, после названия СКА Арены уже сомневаешься, что дизайнеры, работающие над объектами гос. нужд, додумаются открыть интернет и найти нормальный шрифт, нежели использовать "Вордовский" шрифт. Я бы обомлел если наш любимый Times New Roman использовали
Так же у фасада со стороны улицы Васи Алексеева, а конкретно у лестниц, начали что-то копать, кому известно что это - предлагайте, интересно послушать.
Но! Мы этого хрен поймём, так как из за небольшой вдавленности эти буквы фиг увидишь, кроме того, они решили всё же использовать шрифт Arial (впрочем по проекту это должно было произойти).
В целом, это и ожидалось, после названия СКА Арены уже сомневаешься, что дизайнеры, работающие над объектами гос. нужд, додумаются открыть интернет и найти нормальный шрифт, нежели использовать "Вордовский" шрифт. Я бы обомлел если наш любимый Times New Roman использовали
Так же у фасада со стороны улицы Васи Алексеева, а конкретно у лестниц, начали что-то копать, кому известно что это - предлагайте, интересно послушать.
Жду когда эти черти откроют Театральную.